Service Guide

Get Ants Extermination Service

Local contractors offer ant extermination services to eliminate infestations and protect properties from damage caused by ants.

Ants extermination services are a practical consideration for property owners dealing with persistent ant issues. Whether you're managing a residential property or a commercial space, unwanted ant activity can impact comfort, hygiene, and overall property value. Exploring local service providers can help identify effective solutions tailored to your specific needs, ensuring that the problem is addressed efficiently and thoroughly.

Comparing options among nearby contractors allows property owners to find experienced professionals equipped to handle ant infestations. By reviewing local expertise, you can select service providers who understand the unique challenges of your area and offer reliable, targeted treatments. Continuing to explore your local choices can help you make an informed decision to protect your property and maintain a pest-free environment.

Get Ants Extermination Service Quotes

  • Ants Extermination - when ants invade a home or business and create a persistent pest problem.
  • Ants Prevention - to stop ant infestations from developing in residential or commercial properties.
  • Ants Inspection - when identifying the extent and source of an ant infestation is necessary.
  • Ants Removal - to eliminate ants from outdoor spaces like gardens and patios.
  • Ants Control - for ongoing management of ant populations to prevent future invasions.
Ants Extermination Service
Ants Extermination Service
Ants Extermination Service

Ants extermination services involve targeted treatments designed to eliminate ant colonies from residential and commercial properties. These services typically include inspection to identify the species and nesting sites, followed by application of effective insecticides or baiting systems to eradicate the ants. The goal is to remove the infestation quickly and prevent future problems by treating entry points and areas where ants are active. Professional contractors use proven methods to ensure that the treatment is thorough, reducing the likelihood of ants returning.

Ant infestations can cause a variety of problems for property owners. Common issues include nuisance from constant ant activity, contamination of food and surfaces, and potential structural damage if certain species, like carpenter ants, invade wood structures. Ants can also be a sign of underlying moisture or sanitation issues that need addressing. Service providers help identify the root causes of ant problems and implement solutions to keep properties ant-free, creating a cleaner and more comfortable environment.

This type of service is often used in a range of property types, including single-family homes, apartment complexes, restaurants, and retail stores. Homes are frequently affected when ants find food or water sources inside kitchens, bathrooms, or basements. Commercial properties, especially those involved in food handling or storage, rely on extermination services to maintain hygiene standards and prevent pest-related issues. Whether a property is small or large, local contractors can tailor their approach to effectively handle the specific ant problem.

Ants extermination services are a practical solution for property owners who notice signs of ant activity or want to prevent an infestation before it starts. Recognizing when ants have become a nuisance or a potential health concern is key to knowing when to contact local service providers. These professionals can assess the situation, recommend appropriate treatments, and help maintain a pest-free environment. Connecting with experienced contractors ensures that the problem is addressed efficiently and effectively, safeguarding the comfort and integrity of any property.

The overview below groups typical Ants Extermination Service projects into broad ranges so you can see how smaller, mid-sized, and larger jobs often compare in your area.

In many markets, a large share of routine jobs stays in the lower and middle ranges, while only a smaller percentage of projects moves into the highest bands when the work is more complex or site conditions are harder than average.

Basic Ant Removal - Typical costs for routine ant extermination services range from $250 to $600 for many smaller jobs. Most projects in this range involve standard treatment for common ant infestations in single-family homes. Larger or more persistent infestations may require additional treatments, increasing the overall cost.

Localized Treatments - For targeted ant control in specific areas, local contractors often charge between $150 and $400. These services are suitable for addressing ants in kitchens, basements, or other limited zones, with many projects falling into this lower to mid-range band.

Full Property Extermination - Comprehensive treatments covering entire properties typically cost between $600 and $1,200. Many homeowners opt for this level of service when dealing with widespread or recurring ant problems, though fewer projects reach the higher end of this range.

Ongoing Maintenance - Regular pest management plans to prevent ant re-infestation usually range from $50 to $150 per visit, with many clients scheduling quarterly treatments. These ongoing services help maintain ant-free environments and tend to fall into the lower cost brackets for routine visits.

Actual totals will depend on details like access to the work area, the scope of the project, and the materials selected, so use these as general starting points rather than exact figures.

Get a Quote

Pest Control for Cockroaches - local contractors use similar techniques and tools to identify and eliminate pests, including ants, in residential and commercial settings.

Termite Inspection and Treatment - professionals employ planning and treatment methods comparable to ant extermination to prevent and control wood-damaging insects.

Spider and Insect Extermination - service providers utilize similar pest identification and removal strategies to handle various household insects, including ants.

Rodent Control Services - planning and trapping techniques used for rodents share common skills with ant extermination, focusing on effective pest management.

Bed Bug Treatment - local contractors apply specialized treatment plans that involve inspection and targeted extermination, akin to ant control methods.

Wildlife Removal Services - handling larger pests requires planning and tools similar to those used in ant extermination to ensure safe removal and prevention.

Ants Extermination Service

When comparing service providers for ant extermination, it’s helpful to consider their experience with similar projects. Homeowners should look for local contractors who have a proven track record in handling ant control issues comparable to their own. An experienced professional will understand the common challenges associated with ant infestations and be familiar with effective treatment methods, which can contribute to a more efficient and successful service.

Clear written expectations are essential when evaluating potential contractors. Pros who provide detailed descriptions of their services, including the scope of work, methods used, and any follow-up procedures, can help ensure that homeowners understand what will be done. This transparency allows for better alignment of expectations and reduces the chances of misunderstandings or surprises during the process.

Reputable references and good communication are also key factors to consider. Local service providers who can offer references from past clients demonstrate their reliability and quality of work. Additionally, contractors who communicate clearly and promptly can make the process smoother and more straightforward for homeowners. It’s important to remember that the website serves as a resource to connect with local pros, not as the entity performing the work itself. Homeowners should use these connections to gather information and compare options to find a provider that meets their specific needs.

Get an Ants Extermination Service Quote

Property owners use Ants Extermination Service services for practical projects around their homes and businesses. This guide focuses on everyday jobs and straightforward project options.

Ants Extermination Service
Ants Extermination Service

Ants can quickly become a common nuisance for property owners dealing with household or yard invasions. Whether ants are found inside kitchens, bathrooms, or around outdoor gardens, many seek professional assistance to effectively eliminate the problem and prevent future infestations. Local contractors specializing in pest control often handle these situations, providing targeted treatments to address the specific types of ants and the severity of the infestation.

Property owners might look for ant extermination services when noticing trails, nests, or increased activity around their property. Unwanted ant presence can interfere with daily routines and compromise comfort, prompting the need for experienced service providers. Local pest control professionals are equipped to assess the situation and implement solutions that help restore a pest-free environment.

Get an Ants Extermination Service Quote

How do ants typically enter homes? Ants often find their way inside through small cracks, gaps around windows and doors, or openings around utility lines and pipes.

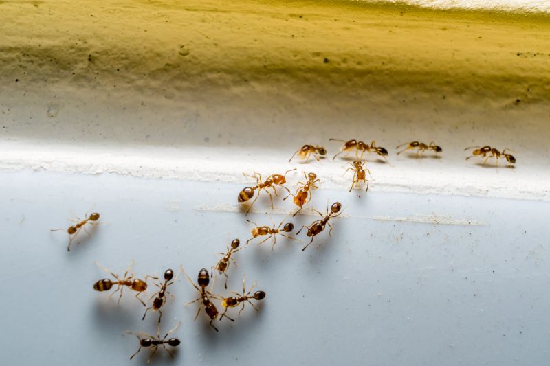
What signs indicate an ant infestation? Visible trails of ants, piles of discarded wings, or noticing ants gathering near food sources are common signs of an infestation.

What methods do local contractors use to eliminate ants? Service providers may use baiting systems, insecticidal treatments, and exclusion techniques to effectively control ant problems.

Are ant extermination treatments safe for pets and children? Many local pros use treatments that are safe when applied properly; it’s best to discuss safety concerns with the service provider beforehand.

Can ants return after treatment? While treatments can significantly reduce ant activity, ongoing prevention and maintenance by local contractors can help prevent future infestations.

Identify ant activity in your home or yard - noticing ants indoors or outdoors can help property owners decide when to seek professional extermination.

Prevent ant infestations before they start - implementing early pest control measures can protect a property from larger ant problems later on.

Address existing ant colonies effectively - local contractors can target and eliminate active nests to reduce ongoing ant issues.

Maintain a pest-free environment in residential or commercial spaces - regular treatment services can help keep ants from returning to the property.

Ants Extermination Service

If you are thinking about Ants Extermination Service for a property, this guide is meant to help you understand the work, the typical project types, and how different options might fit your plans.

When you are ready, you can use the quote form on this page to share a few details about your project. From there, local pros can review the basics and respond with options that match what you have in mind.

Get a Quote

Ants Extermination Quotes

Our Trusted Partners
Bulwark Exterminating
Mosquito Shield
Mite T Tech